En Venta
PROPIEDAD A DEMOLER EN EL CORAZON DE ALTA CORDOBA — OPORTUNIDAD PARA INVERSORES
Código: 192962

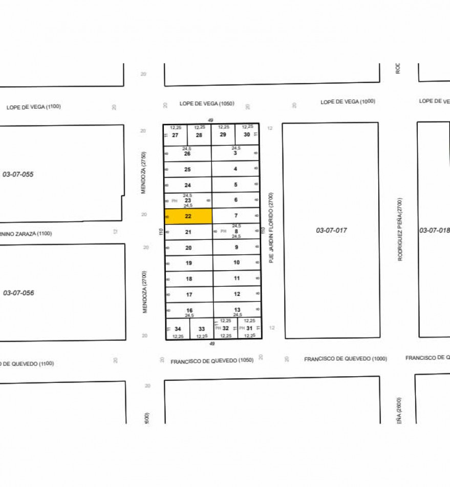
Mendoza 2750, X5001 Córdoba, Argentina, Córdoba, Córdoba, Argentina.

USD28.000

Lote
Compartir esta Propiedad

Descripción de la Propiedad

Presentamos una excelente oportunidad para desarrollo inmobiliario en uno de los sectores más buscados de Alta Córdoba.
La propiedad se encuentra sobre calle Mendoza, a solo 300 metros del Club Municipal, en pleno corazón del barrio.

Características del Lote
• Superficie total: 196 m²
• Frente: 8 metros
• Fondo: 24,5 metros
• Propiedad existente a demoler
• Terreno completamente aprovechable
• Escritura

Normativa Urbanística – Zona Tipo D
• FOS: 70 %
• FOT: 2,5
• Altura máxima permitida: 15 metros
• Posibilidad de desarrollar Planta Baja + 4 pisos
• Capacidad constructiva estimada: 8 unidades habitacionales

Ideal para desarrollistas, arquitectos e inversores que buscan un proyecto con excelente ubicación, alto potencial constructivo y demanda asegurada.

AVISO: Propiedad con intermediación de Natalia Cura Servicios Inmobiliarios. Matrícula 04-3734.
La información contenida en esta publicación es referencial. Los datos no constituyen oferta alguna, están sujetos a disponibilidad y a confirmación del/los propietario/s, por lo que pueden variar sin previo aviso.
Los valores publicados no incluyen gastos derivados de la operación (escribanía, timbrados, comisión, posesión u otros).
Los interesados deberán comunicarse por los medios de contacto para conocer las condiciones de la oferta y avanzar en la operación.

Mas detalles